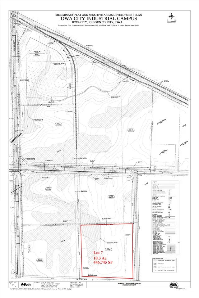
A 10.3-acre certified Shovel Ready industrial site certified by the Shovel Ready Iowa Certification Program. This parcel is flat, access roads are in and all utilities are sufficient and to the site. Interior site road from 420th Street will have to be added to this site. TIF may be available depending on number and quality of permanent jobs created by new enterprises. May be combined with lot #5 for a 19.5 acre site.
Land For Sale
4748 SE 420th St
Iowa City, Iowa 52240
Information on this page deemed reliable, but not guaranteed to be accurate. Listing information was entered by the listing agent and provided by ICAAR (Iowa City Area Association of REALTORS®) MLS and CRAAR (Cedar Rapids Area Association of REALTORS®) MLS. Urban Acres claims no responsibility for any misinformation, typographical errors, or misprints displayed from the MLS sources.
Have a question we can answer this property? Interesting in scheduling a showing? Please enter your preferences in the form. We will contact you in order to schedule an appointment to view this property.



