


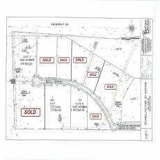
Only three lots remain available in this upscale business and technology park. The park is anchored by Wells Fargo and features Snyder & Associates, Balance Autism, and SMG as other business calling this development home. Lots range in size from 3.23 acres to 5.95 acres. The park is visible from Hwy 30 with Lot 7 (650 Bell Dr. SW) having Highway 30 frontage. Owner will build to suit.
Only three lots remain available in this upscale business and technology park. The park is anchored by Wells Fargo and features Snyder & Associates, Balance Autism, and SMG as other business calling this development home. Lots range in size from 3.23 acres to 5.95 acres. The park is visible from Hwy 30 with Lot 7 (650 Bell Dr. SW) having Highway 30 frontage. Owner will build to suit.