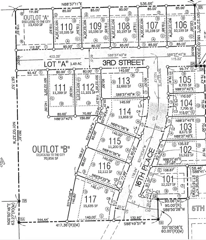
Location, Location, Location! High demand Stonebrook Development building lots with community at the heart. 80′ Curb width. Development sidewalks create walkability within the neighborhood and lead to the award-winning Washington elementary, Mt. Vernon middle and high school campus. Single family building lots with immediate possession. Larger lots up to .36 acre. You may select your builder, 1,350 square footage or more above grade ranch covenant, 1,700 square footage or more for a multi-level home to be built. Rolling grade offers flat, egress, or walk out home sites pending your floor plan elevation. This community offers community with Cornell College, main street cultural and dining popularity, close to the wellness center, and newly constructed HWY 30 and Bypass. Just North of HWY 1 lends traveling to Iowa City, the Solon corridor, Cedar Rapids, Marion all accessible in driving minutes. Offers may be subject to buyer final grade and completion approval. 8′ common walking trail is throughout the development offering connectivity and snow plowed by the city of Mt Vernon. Right of way at lot lines installed by builder at time of construction.
Farm Sale
1528 3rd Street SW
Mt Vernon, Iowa 52314
Information on this page deemed reliable, but not guaranteed to be accurate. Listing information was entered by the listing agent and provided by ICAAR (Iowa City Area Association of REALTORS®) MLS and CRAAR (Cedar Rapids Area Association of REALTORS®) MLS. Urban Acres claims no responsibility for any misinformation, typographical errors, or misprints displayed from the MLS sources.
Have a question we can answer this property? Interesting in scheduling a showing? Please enter your preferences in the form. We will contact you in order to schedule an appointment to view this property.
View Similar Listings
$52,500
915226002 Parcel, Lot 4, Wapsi Ridge
Anamosa, Iowa 52205






